Lidsing Garden Community SPD

Search representations

Results for Mr Ray Dines search

New search New search

Comment

Lidsing Garden Community SPD

Q2: Do you agree that the correct key issues and elements have been identified in relation to the context of the site?

Representation ID: 38

Received: 05/11/2025

Respondent: Mr Ray Dines

Representation Summary:

The SPD currently lacks clarity in terms of the following key areas of infrastructure provision.
Definition and detailed design of the Spine road/East-west route and its connections to North Dane Way and M2 junction 4. Similar issues with Ecology mitigation and Phasing. Lack of any detailed procedure for monitoring and mitigation of impacts.
Many of the diagrams and drawings are difficult to interpret because of the use of very similar colour coding.
Lack of evidence of discussion with Medway Council and other infrastructure providers namely schools, health , water and sewage.d


Our response:

Comments noted.
The SPD sets out additional guidance on the approach to transport assessment and mitigation (Chapter 7.3).
More detailed assessment of transport impacts and the design of transport mitigation measures will need to be set out as part of the formulation and consideration of future planning applications.
The Framework Plans capture the key structuring elements and principles, whilst also allowing for appropriate flexibility for further design work to consider matters in more detail and bring forward appropriate proposals.
Other plans and diagrams are generally illustrative, and it will be for future planning applications to set out more details around the proposed layout of buildings, uses and infrastructure across the site.
The SPD takes forward the requirements of Policy LPRSP4(B) of the Local Plan Review which established the necessary scope of infrastructure.
Figure 41 at Section D of the SPD replicates the required phasing of development and associated infrastructure.
Infrastructure will be secured through the use of planning conditions and legal agreements, as part of the consideration and determination of future planning applications.
Key stakeholders including Medway Council and Kent County Council have been involved in the preparation of the SPD and can provide further input through this consultation.
All future applications will be the subject of consultation and future decision making

Comment

Lidsing Garden Community SPD

Q32: Do you agree with the principles & guidance for ‘Section D: Delivery Framework’?

Representation ID: 39

Received: 08/11/2025

Respondent: Mr Ray Dines

Representation Summary:

No. There needs to be a much tighter definition of infrastructure provision and its timing particularly in phase one.


Our response:

Comment noted.
The SPD takes forward the requirements of Policy LPRSP4(B) of the Local Plan Review which established the necessary scope of infrastructure.
Figure 41 at Section D of the SPD replicates the required phasing of development and associated infrastructure.
Infrastructure will be secured through the use of planning conditions and legal agreements, as part of the consideration and determination of future planning applications.

Object

Lidsing Garden Community SPD

Q33: Please set out any changes that you think should be made to Section D: Delivery Framework.

Representation ID: 40

Received: 08/11/2025

Respondent: Mr Ray Dines

Representation Summary:

No development should be permitted until there is a full approved detailed design for the East West link including its connections to North Dane Way and M2 junction. If there is to be some form of Interim scheme for the connection to Maidstone Road and Junction. This also needs to be designed in detail and fully approved together with a Transport Assessment. Such an arrangement was not tested at the Local Plan Inquiry.

No development to be permitted prior to the submission of a construction traffic assessment and appropriate mitigation strategy for the local Road network.


Our response:

Objection noted.
The SPD sets out additional guidance on the approach to transport assessment and mitigation (Chapter 7.3).
The detailed design of transport mitigation measures including addressing off site impacts will need to be set out as part of the formulation and consideration of future planning applications.

Object

Lidsing Garden Community SPD

Q34: Do you have any other comments on the Draft Supplementary Planning Document?

Representation ID: 41

Received: 08/11/2025

Respondent: Mr Ray Dines

Representation Summary:

The nature of the existing sub-standard Road network is such that Road Infrastructure improvements must be in place at an early stage in Phase 1. No more than 100 houses to be occupied before the East - West link between Maidstone Road and North Dane Way is in place together with the required Orbital Bus Route. If this is a sub-optimal connection to M2 junction 4 then this must be fully tested by a fresh Transport Assessment. This must also take account of any development traffic associated with the Gibraltar Farm Development.


Our response:

Objection noted.
The SPD sets out additional guidance on the approach to transport assessment and mitigation (Chapter 7.3).
The detailed design of transport mitigation measures including addressing off site impacts will need to be set out as part of the formulation and consideration of future planning applications.

Object

Lidsing Garden Community SPD

Q35: Do you have any comments about how easy the document is to use and understand or what improvements could be made? 

Representation ID: 42

Received: 08/11/2025

Respondent: Mr Ray Dines

Representation Summary:

The figures and diagrams are very difficult to interpret because of the use of multiple shades of green used in the key.
For example the location of potential dormice and reptile habitats are impossible to determine.

The village centre concept plan has no reference to existing residential property and commercial premises- and is of no value whatsoever.

Very few of the diagrams show the connections to the connection to the existing Road network and are therefore of limited value.


Our response:

Objection noted.
The Framework Plans capture the key structuring elements and principles, whilst also allowing for appropriate flexibility for further design work to consider matters in more detail and bring forward appropriate proposals.
Other plans and diagrams are generally illustrative, and it will be for future planning applications to set out more details around the proposed layout of buildings, uses and infrastructure across the site. All future applications will be the subject of consultation and future decision making.
Officers agree that the colouring will be reviewed to ensure that the different aspects are legible.

Object

Lidsing Garden Community SPD

Q6: Do you agree with the framework plans as set out in the SPD?

Representation ID: 43

Received: 08/11/2025

Respondent: Mr Ray Dines

Representation Summary:

No. There is no consideration of how individual parcels of development would gain access to the Strategic Road Network. For many locations the most direct and attractive route will be via Westfield Sole Road, Boxley Road or Hempstead Road. None of these routes are suitable for ANY additional traffic.


Our response:

Objection noted.
The Framework Plans set out at Chapter 5 of the SPD capture the key structuring elements and principles, and include the need for new and improved connectivity through the site and with adjoining areas. This approach allows for appropriate flexibility for further design work to consider matters in more detail and bring forward appropriate proposals.
Future planning applications will have to consider and demonstrate how they have addressed all stated requirements, and will set out more details around the proposed layout of new roads and connections.
All future applications will be the subject of consultation and future decision making.

Object

Lidsing Garden Community SPD

Q7: Please set out any changes to the framework plans, and which plans these changes should relate to? 

Representation ID: 44

Received: 08/11/2025

Respondent: Mr Ray Dines

Representation Summary:

None of the framework plans show an accurate depiction of the proposed replacement M2 bridge or its connection to Maidstone Road. This fundamental to the delivery of the development and must be fully detailed prior to the consideration of any Outline Planning application.


Our response:

Objection noted.
The Framework Plans capture the key structuring elements and principles, whilst also allowing for appropriate flexibility for further design work to consider matters in more detail and bring forward appropriate proposals.
Figure 31 relating to "Land South of M2 Junction 4" provides an illustration of how this area will connect up to a new bridge over the M2, although officers agree that the diagram in the Transport Annex (figure 5.3) which also shows the relationship to the current road layout should be included.
Future planning applications will set out more details around the proposed layout of buildings, uses and infrastructure across the site. All future applications will be the subject of consultation and future decision making.
However, officers agree that figure

Object

Lidsing Garden Community SPD

Q3: Are there any issues and elements which you feel are inaccurate or missing?

Representation ID: 45

Received: 08/11/2025

Respondent: Mr Ray Dines

Representation Summary:

The Ecology Framework is totally inadequate. There is no reference to the Ecology report that was part of the Local Plan Evidence Base.
This highlighted the need for a whole range of detailed studies that have not been undertaken. In particular there is no reference in the SPD to the know presence of protected species including Skylarks and other ground nesting birds, birds of prey, bats and badgers. Such Ecological evidence that has been provided gives no details of the source but makes reference to the presence of Dormice and Reptiles at unspecified locations.


Our response:

Officers agree that a reference to the previous ecology work done for the Local Plan Review should be included.
Future planning applications will need to be accompanied by additional assessments of ecology and biodiversity.

Object

Lidsing Garden Community SPD

Q3: Are there any issues and elements which you feel are inaccurate or missing?

Representation ID: 46

Received: 08/11/2025

Respondent: Mr Ray Dines

Representation Summary:

A flood risk has been identified in the area of The Rise, Hempstead but there is no requirement for a mitigation strategy.


Our response:

Objection noted.
The SPD sets out guidance and principles relating to 'Sustainable & Healthy Design' at Chapter 6.10 which includes principles relating to water management on the site including the need for sustainable urban drainage systems.
Appendix B set out the anticipated documents that will be required alongside future Planning Applications, which includes the need for a further Flood Risk Assessment. The guiding principles for water management can be strengthened by reference to ensuring the SuDs are designed in accordance with national standards for Sustainable Drainage Systems which includes mitigating any increased flood risk to people and property adjacent to or downstream of the development

Comment

Lidsing Garden Community SPD

Q34: Do you have any other comments on the Draft Supplementary Planning Document?

Representation ID: 105

Received: 12/11/2025

Respondent: Mr Ray Dines

Representation Summary:

It was no coincidence that very late in the Local Plan Inquiry the site Promoters introduced an “Interim Scheme” for the link to M2 Junction 4. This was because the “ Full Scheme” is of very questionable viability and deliverability.

It is essential that there is a requirement in the SPD for the scheme promoters to submit fully detailed and approved Full and Interim schemes with any Outline Planning Application. Such approval will involve Highways England, KCC and Medway Council all of whom have responsibility for different elements of the schemes.

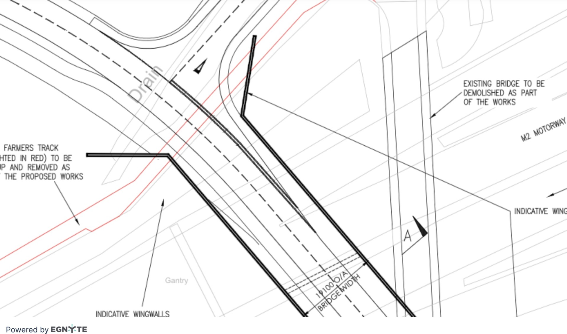
I attach for your perusal copies of the various drawings submitted during the course of the Local Plan Inquiry. I will comment of each of these in the text below the drawings.

The first drawing shows the original Full Scheme. On closer examination of 2nd drawing extract it can be seen that the existing concrete access road runs along the centre of the proposed realigned Maidstone Road.

During the course of the Inquiry Highway England advise the scheme promoters that the junction of the Spine Road and Maidstone Road was too close to the M2 main carriageway. The scheme was subsequently amended and the extract drawings show the extended 80m bridge structure and the existing concrete access road is indicated in red. It can also be seen that has been necessary to make a significant adjustment to the alignment of Maidstone Road further north westwards.

This new alignment is now centred on the “drain” marked on the plan at a point that is some 6m below the existing road level. This also has the effect of pushing the road construction beyond the promoters land ownership and furthermore there is no allowance for a highway embankment or retaining wall. There is therefore no certainty that the promoters are in position to deliver the Full Scheme.

I believe that is the reason that the interim scheme was introduced at a very late stage at the Local Plan Inquiry.

The 4th drawing shows the “Interim” scheme that utilises the existing motorway bridge and introduced a substandard signal junction that has never been fully assessed in terms of capacity or its impact on Bredhurst Village and other local roads.

The 5th drawing shows a close up extract of the “Interim” scheme that has similar issues with delivery as does the “Full scheme”. Clearly constrained by land ownership it shows a one metre wide verge adjacent to the new Spine Road that is totally substandard and impractical. Given that there is a very significant difference in level between the proposed roads and the adjacent land there would need to be additional land for a highway embankment or retaining wall. The one metre verge would not even be wide enough for the obviously necessary crash barriers and other street furniture.

Given the extreme complexity and cost of constructing a replacement motorway bridge there must also be very significant doubts that the Full Scheme will even be delivered. Assuming that some form of Interim Scheme could be delivered ; this could only serve a small part of the Lidsing development and nothing extra arising from the emerging Medway Local Plan.

If the promoters still maintain that the Full scheme is deliverable then there must be fully detailed and approved scheme together with a Method Statement for Construction , a realistic cost estimate and the estimated delivery date properly tied to a significant quantum of development in Phase 2. This additional information must be provided with the Outline Planning Application and in advance of any development on site. Certainty regarding the provision of suitable connections to M2 junction 4 and North Dane Way and the provision of the East-West link is absolutely fundamental to the Inspector’s decision to allow this development. Piecemeal progression of housing development in this area is just not acceptable.

Attachments:


Our response:

Comment noted.
The SPD sets out additional guidance on the approach to transport assessment and mitigation (Chapter 7.3) which builds on the requirement of LPRSP4(b). Further detail is also provided in the accompanying Transport Annex including an indicative scheme for M2 junction 4.
The detailed design of transport mitigation measures including addressing off site impacts will need to be set out as part of the formulation and consideration of future planning applications.

For instructions on how to use the system and make comments, please see our help guide.